Overslaan en naar de inhoud gaan

Kruispunt Afrikalaan met Vliegtuiglaan (N424) wordt vernieuwd: werken vanaf 10 september

Kruispunt Afrikalaan met Vliegtuiglaan (N424) wordt vernieuwd: werken vanaf 10 september

Op dinsdag 10 september start het Agentschap Wegen en Verkeer met de voorbereidingen voor de vernieuwing van het kruispunt van de Vliegtuiglaan met de Afrikalaan (N424) in Gent. De heraanleg, die op 16 september begint, is noodzakelijk door de toekomstige toename van verkeer van de R4 richting de Afrikalaan en Koopvaardijlaan. Tijdens de werken gelden er omleidingen voor fietsers en voor gemotoriseerd verkeer.

Meer verkeer van en naar R4 in de toekomst

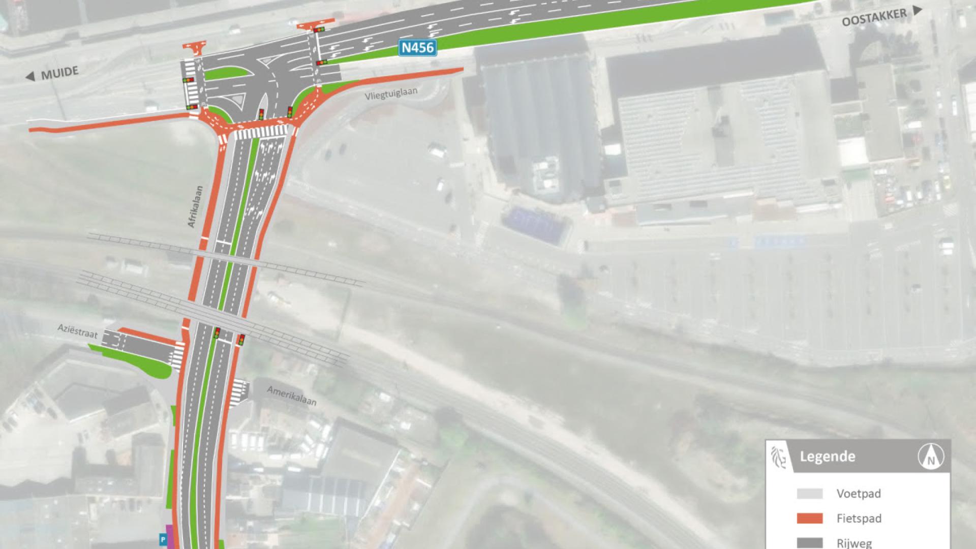
In de toekomst wordt de kleine Gentse stadsring (R40) verlegd van Dok-Noord en -Zuid naar de Muidelaan, de Verapazbrug, Afrikalaan en Koopvaardijlaan. Hierdoor zal er meer verkeer afslaan van de R4 naar de Afrikalaan en omgekeerd. Om het verkeer tussen de R4 en R40 vlot te laten verlopen, zijn er aanpassingen nodig aan het kruispunt van de Afrika- met de Vliegtuiglaan.

Aanpassingen aan kruispunt Vliegtuiglaan met Afrikalaan

Zo komt er op de Vliegtuiglaan een extra afslagstrook naar de Afrikalaan. Daarnaast zullen de afslagstroken op de Afrikalaan doorlopen tot voorbij de Aziƫstraat. Op de Afrikalaan, komende van Dampoort, schuiven de bestaande afslagstroken op naar rechts. De weg wordt hier breder. De verkeerslichten op het kruispunt worden conflictvrij geregeld: dat wil zeggen dat bestuurders niet gelijktijdig groen krijgen met conflicterende richtingen of overstekende fietsers. Op die manier is er minder conflict tussen autoverkeer en fietsers. Er komen ook voetpaden van 1,5 meter breed aan beide zijden van de Afrikalaan en de fietspaden worden in beide richtingen ook verbreed en in asfalt aangelegd.

Voorbereidingen vanaf 10 september

Op dinsdag 10 september start de aannemer met de nodige voorbereidingen op het kruispunt. Tussen de rotonde en spooroverweg breekt hij de middenberm op en brengt hij tijdelijke verharding aan. Die werken duren tot en met 12 september. Tijdens deze werken is er geen hinder voor fietsers. Het verkeer op de Vliegtuiglaan rijdt in beide richtingen op 1 rijstrook tussen de rotonde en het kruispunt met de Afrikalaan. Voor de tunnelingang wordt de rijweg richting Zelzate beperkt tot 1 rijstrook.

Vanaf 16 september werken met grotere hinder

Op maandag 16 september kan dan de eerste fase van de werken beginnen. De aannemer breekt de rijweg op de Vliegtuiglaan richting Gent dan op. Hij legt er een extra rijstrook aan richting de Afrikalaan. Daarna krijgt de Vliegtuiglaan een nieuwe laag asfalt. Als alles vlot verloopt, duurt fase 1 tot midden oktober. 

Tijdens fase 1 is er meer hinder voor het verkeer. Zo volgen fietsers komende van Zelzate richting Dampoort een omleiding via de rotonde aan de Port Arthurlaan. Fietsers vanuit Dampoort richting het centrum of Meulestede rijden dan weer om via de lus boven de tunnel van de Vliegtuiglaan. Het verkeer op de Vliegtuiglaan zal in beide richtingen op de rijbaan richting Zelzate rijden. Er gelden ook enkele omleidingen. Zo rijdt verkeer vanuit Zelzate naar de Afrikalaan via de rotonde op de Port Arthurlaan om daar terug te draaien. Verkeer vanuit de Afrikalaan richting het centrum en Meulestede rijdt om via de Vliegtuiglaan, afrit Oostakker, Motorstraat, Singel, John Kennedylaan en de Vliegtuiglaan.

Einde werken voorjaar 2025

De werken zijn opgedeeld in 3 fases om de hinder te beperken. De timing van fase 2 en 3 is vandaag nog niet bekend,maar de bedoeling is om in het voorjaar van 2025 de werken af te ronden.